PA17/03341/PREAPP | Pre application for the erection of a bungalow, improvements to existing access and installation of septic t
Pre application for the erection of a bungalow, improvements to existing access and installation of septic tank - Hayle Trekking Centre Marsh Lane Hayle Cornwall TR27 4PS
Ref. No: PA17/03341/PREAPP | Received date: Fri 08 Dec 2017 | Status: Closed - advice given | Case Type: Planning Application
.
| | Date Published | Document Type | Measure | Drawing Number | Description | View |
|---|---|---|---|---|---|---|
| 24 Jan 2018 | Letter - Informal Advice Given | | CLPREZ - ADVICE LETTER | | ||
| 08 Dec 2017 | Correspondence In | | COVERING LETTER | | ||
| 08 Dec 2017 | Application Form | | APPLICATION FORM | | ||
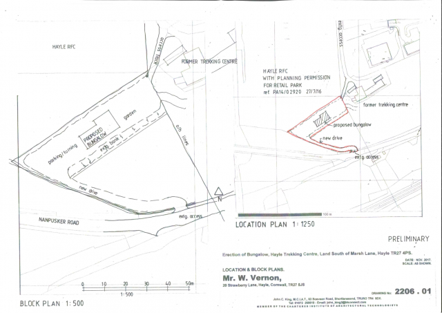
| 08 Dec 2017 | Plan - Site and Block | | 2206.01 | LOCATION AND BLOCK PLAN | | |
| 08 Dec 2017 | Plan - Site Location | | 2206.02 | LOCATION PLAN | |
Advice Letter text for info
CLPREZ
Planning and Sustainable Development Service
Cornwall Council
Dolcoath Avenue Camborne Cornwall TR14 8SX
planning@cornwall.gov.uk
Your ref:
My ref: PA17/03341/PREAPP
Mr J C King
63 Bosvean Road
Shortlanesend
Truro
Cornwall
TR4 9DX
Date: 24 January 2018
Dear Sir/Madam
| Pre-application | PA17/03341/PREAPP |
| enquiry reference | |
| Proposal | Pre application for the erection of a bungalow, improvements to |
existing access and installation of septic tank
Location Hayle Trekking Centre Marsh Lane Hayle Cornwall
Applicant Mr W Vernon
I refer to your enquiry received on 8 December 2017 concerning the above and
would inform you that this letter is written on the basis of the information supplied
with your enquiry and the submitted drawings.
Site and context
This enquiry relates to the construction of a bungalow on a parcel of land to the
south of Hayle Rugby ground accessed off Nanpusker Road. The application site
shown on the submitted plans is a greenfield site with no planning history. There is
planning history on an area of the land to the east of the application site for the
change of use of land for a pony trekking centre which was allowed on appeal in
1992. This use has not been in operation for many years. There are still many
structures including a static caravan and storage containers on this area of land.
There is an existing access lane that runs along the eastern perimeter of the rugby
club off Marsh Lane.
Relevant Planning History:
W1/92/P/0163 - Change of use of land for pony trekking centre. Appeal allowed -
1992.
Relevant site constraints include:
- Critical Drainage Area
Planning Policies and Guidance:
Cornwall Local Plan Strategic Policies 2010-2030 (Adopted 22nd November 2016)
Policy 1 Presumption in favour of sustainable development
Policy 2 Spatial Strategy
Policy 2a key targets
Policy 3 Role and function of places
Page 2
24 January 2018
Policy 7 Housing in the countryside
Policy 12 Design
Policy 13 Development standards
Policy 21 Best use of land and existing buildings
Policy 23 Natural environment
Policy 27 Transport and accessibility
National Planning Policy Framework (2012):
Paragraph 7 - Achieving Sustainable Development
Paragraph 14 - Presumption in Favour of Sustainable Development
Paragraph 17 - Core Principles
Section 4. Promoting sustainable transport
Section 6. Delivering a wide choice of high quality homes
Section 7. Requiring good design
Section 11. Conserving and enhancing the natural environment
Cornwall Design Guide
Assessment:
The key issue of consideration in response to this pre-application submission relates
to determining if the proposal is considered acceptable under current adopted local
planning policies and the National Planning Policy Framework.
Housing Policy:
Policy 7 of the Cornwall Local Plan only permits new dwellinghouses in the open
countryside under special circumstances, namely; replacement dwellings, the
subdivision of existing residential dwellings or the reuse of suitably constructed
redundant, disused or historic buildings that are considered appropriate to retain. Or
it allows for dwellinghouse for rural workers such as agricultural and forestry workers
where there is evidence of an essential need of the business for the occupier to live
in a specific location. This is further supported by paragraph 55 of the NPPF states
that new isolated homes in the countryside should be avoided, unless there are
special circumstances to justify them. There are exceptions for affordable housing,
but these sites need to be located within or adjoining existing towns and villages for
which these sites are not.
Policy 3 of the Cornwall Local Plan Strategic Policies 2010-2030 states that "outside
of the main towns housing growth will be delivered through infill or small scale
rounding off. Infill for the purposes of residential development should be
proportionate to the scale of the settlement and within its boundaries, respect the
settlement and landscape character of the locality and not physically extend the
settlement. It must clearly relate to part of an established settlement and not
isolated dwellings. Rounding off applies to land which is substantially enclosed but
outside of the urban form of settlement.
In this case it is considered the land is not a natural infill plot nor can it be classed as
rounding off development due to its distance from the residential settlements of
Hayle or Angarrack. The development represents an undesirable extension and
intrusion of the built form into the adjoining countryside and in the absence of any
special circumstances to justify residential development in this context the proposal
Page 3
24 January 2018
does not represent sustainable development and is therefore contrary to national and
local plan policies. Taken as a whole it is considered that the site does not comply
with policy 3 of the Local Plan and thus will be seen as development in the
countryside. In such cases there has to be an exception to permit housing and in
this case the site does not meet the requirements of policy 7 of the local plan.
Whilst there is commercial development adjoining the site on the industrial estate
and the potential for the redevelopment of the Hayle rugby club site for a retail use,
it is not considered an appropriate location for residential development. Therefore I
must advise that in this instance the site is not considered one which would be
appropriate for new housing and I would not encourage the submission of an
application.
Visual
There are no specific details to comment on with regards to the design of a proposed
property, however great weight is given to the protection of rural landscapes,
therefore any form of development in these areas would be visually intrusive and
incongruous form of development in the open countryside. Although it is appreciated
there is a mixture of buildings/structures on the site to the east of the application site
at present, there replacement with a dwellinghouse is not considered appropriate in
this case.
Should a subsequent planning application be submitted against the negative advice
contained in this pre-application response then design issues including the use of
materials and finishes, private or communal outdoor amenity space, boundary
treatments and access will be very important considerations and information will
need to be provided alongside a planning application.
Highways, Transport and Accessibility:
Paragraph 17 of the NPPF sets a requirement for the planning system to actively
manage patterns of growth to make the fullest possible use of public transport,
walking and cycling, and focus significant development in locations which are or can
be made sustainable.
Paragraph 32 of the NPPF is clear that all development proposals need to deliver safe
and suitable access for all. Therefore should you wish to proceed with an application
against the negative advice of this pre-application response then I would suggest
that you would need to annotate the details of the proposed vehicle access, parking
and turning areas on the plan.
Community Consultation:
The majority of local councils (parish, town and city councils) welcome preapplication planning discussions and we strongly encourage you to consult the local
council and seek their views prior to submitting any formal planning application. I
would also encourage you to consult with residential occupiers prior to submitting
any formal planning application as well as the appropriate Electoral Division Member.
Building Regulations:
Cornwall Council's Building Control Service is pleased to offer a free initial preapplication advice service for all your development enquiries. Building Control can
Page 4
24 January 2018
advise whether a Building Regulations application is likely to be required for your
proposal, can give valuable time-saving guidance on how to meet the requirements
of The Building Regulations and can suggest possible ways of resolving any notable
issues prior to you submitting any formal Planning Permission applications that may
be required. Building Control's Extended Services team can offer SAP, SBEM and AirPermeability Testing Services, as well as access to warranties and other related
services.
The local authority building control office can be contacted at Circuit House, Pydar
Street, Truro, TR1 1DT. You can contact one of our qualified surveyors on 01872
224792 or by emailing us at: buildingcontrol@cornwall.gov.uk
Conclusion:
In summary, I consider that the proposal for residential development on the site
identified or adjoining land would not be an appropriate location due to its distance
from the urban area and there being no specific justification for a residential property
at this site. As such the proposal contravenes the relevant established national and
local planning policies and guidance and I would advise against the submission of a
formal planning application.
These views are officers own. Any advice given by Council officers for pre-application
enquiries does not indicate a formal decision by the Council as local planning
authority. Any views or opinions expressed are given in good faith, and to the best of
ability, without prejudice to the formal consideration of any planning application
following statutory public consultation, the issues raised and evaluation of all
available information.
You should therefore be aware that officers cannot give guarantees about the final
formal decision that will be made on your planning or related applications. However,
the advice issued will be considered by the Council as a material consideration in the
determination of future planning related applications, subject to the proviso that
circumstances and information may change or come to light that could alter the
position. It should be noted that the weight given to pre-application advice notes will
decline over time.
Please note this is the final response and any additional advice will be chargeable.
You should note that this letter does not constitute a formal decision by the Council
(as local planning authority). It is only an officer’s opinion given in good faith, and
without prejudice to the formal consideration of any planning application. However,
the advice note issues will be considered by the Council as a material consideration in
the determination of future planning related applications, subject to the proviso that
circumstances and information may change or come to light that could alter the
position. It should be noted that the weight given to pre-application advice notes will
decline over time.
Page 5
24 January 2018
Yours faithfully
Catherine Bray
Development Officer
Planning and Sustainable Development Service
Tel: 01209 614295
Email: planning@cornwall.gov.uk
- Printer-friendly version
- Login or register to post comments
- Permalink
Contributions
- Angarrack Defibrillator Team (25)
- Angarrack Inn (336)
- Angarrack Methodist Chapel (3)
- Carol (15)
- Gail (1)
- GordonG (12)
- Hayle Development Group on Facebook (5)
- Hayle Harbour Authority (4)
- Hayle Town Council (5)
- louise (1)
- Lynne (111)
- Mal (1)
- MattBuckley66 (9)
- Neil (22)
- Neils Garden Care (9)
- Russell (21)
- Secretary - Christmas Lights (141)
- Steve (3)
- webmaster (5122)
Book page
tags in
Similar
- 1709 | Highway Plans
- PA16/03519 | Hayle Town Council Comment Date: Wed 22 Jun 2016 Strong objection on the following grounds
- PA16/03519 | Erection of retail development (Class A1), including all associated access, servicing and infrastructure works, car
- REFUSED: PA17/11764 | Listed building consent application for removal of garden potting shed & construction of garage &artist st
- REFUSED: PA17/11763 | Removal of garden potting shed & construction of garage & artist studi. - 15 Steamers Hill Angarrack Hayle
Similar across site
- PA17/03341/PREAPP | Pre application for the erection of a bungalow, improvements to existing access and installation of septic t
- 1709 | Highway Plans
- PA16/03519 | Hayle Town Council Comment Date: Wed 22 Jun 2016 Strong objection on the following grounds
- PA16/03519 | Erection of retail development (Class A1), including all associated access, servicing and infrastructure works, car
- REFUSED: PA17/11764 | Listed building consent application for removal of garden potting shed & construction of garage &artist st






















Recent comments
13 weeks 1 day ago
18 weeks 1 day ago
18 weeks 1 day ago
33 weeks 1 day ago
1 year 3 days ago
1 year 3 days ago
1 year 3 days ago
1 year 3 days ago
1 year 22 weeks ago
1 year 36 weeks ago